Description
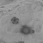
This image from the Mars Exploration Rover Spirit panoramic camera shows a daisy pattern created by the rover's rock abrasion tool on the surface of "Mazatzal." The pattern was made as the rover brushed dust off enough area on the rock to match the field of view of the rover's miniature thermal emission spectrometer instrument.






