Description
16 March 2006
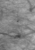
This Mars Global Surveyor (MGS) Mars Orbiter Camera (MOC) image shows a dust devil producing a track among dozens of other, preexisting streaks on a dusty, south middle-latitude plain on Mars. The dust devil is located just above (north/northwest of) a small, dark-floored crater.
Location near: 58.7°S, 141.1°W
Image width: ~3 km (~1.9 mi)
Illumination from: upper left
Season: Southern Summer







