Description
MGS MOC Release No. MOC2-428, 21 July 2003
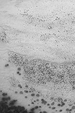
This June 2003 Mars Global Surveyor (MGS) Mars Orbiter Camera (MOC) image shows a polygonal pattern developed in seasonal carbon dioxide frost in the martian southern hemisphere. The frost accumulated during the recent southern winter; it is now spring, and the carbon dioxide frost is subliming away. This image is located near 80.4°S, 200.2°W; it is illuminated by sunlight from the upper left, and covers an area 3 km (1.9 mi) across.







