Description
MGS MOC Release No. MOC2-468, 30 August 2003
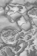
This Mars Global Surveyor (MGS) Mars Orbiter Camera (MOC) narrow angle camera image, acquired in July 2003, shows a field of eroded dunes and patches of sand covered by carbon dioxide frost that accumulated during the previous winter. This springtime view shows that the frost has begun to sublime away, leaving dark patches and streaks on the dune surfaces. Wind has blown across the terrain, as well, causing some of the dark spots to elongate toward the left (west). The sand is located in a depression near 78.5°S, 254.3°W. Sunlight illuminates the scene from the upper left. The area shown is about 3 km (1.9 mi) wide.







