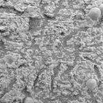
Description
This image, taken by the microscopic imager on the Mars Exploration Rover Opportunity, shows an extreme close-up of the "El Capitan" region, part of the rock outcrop at Meridiani Planum, Mars. As seen in panoramic images of "El Capitan," this region appears laminated, or composed of layers of firmly united material. The upper left portion of this image shows how the grains of the region might be arranged in planes to create such lamination.
At the upper right, in the zone surrounding two larger sphere-shaped particles, this image also shows another apparent characteristic at the scale of individual grains. The granularity of the matrix -- the rock in which the spherules are embedded -- is modified near the spherules compared with grains farther from the spherules. Around the upper spherule, the grain size is increased. This change in grain size might represent a "reaction rim," a feature produced by fluid interaction with the matrix material adjacent to the spherule during the growth of the spherule.







