Description
30 December 2005
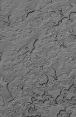
This Mars Global Surveyor (MGS) Mars Orbiter Camera (MOC) image shows eroding mesas of frozen carbon dioxide in the martian south polar residual cap. During the summer season, the scarps that bound each pit and mesa in the south polar region become dark as carbon dioxide sublimes away. The darkening might result from the roughening of the surfaces from which ice is subliming, or from the concentration of trace amounts of dust on these slopes, or both.
Location near: 84.7°S, 48.2°W
Image width: ~3 km (~1.9 mi)
Illumination from: upper left
Season: Southern Summer







