Description

Click on the image for larger animation
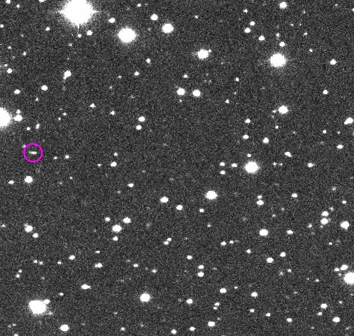
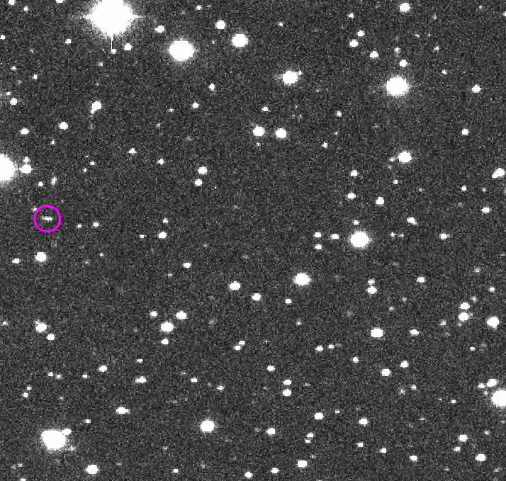
In this sequence of four images taken during one night of observation by NASA's Catalina Sky Survey near Tucson, Arizona, the speck of light that moves relative to the background stars is a small asteroid that was, at the time, about as far away as the moon.
This asteroid, named 2014 AA, was the second one ever detected on course to impact Earth. It was estimated to be about 6 to 10 feet (2 to 3 meters) in diameter, and it harmlessly hit Earth's atmosphere over the Atlantic Ocean about 20 hours after its discovery in these images.
The images were taken Jan. 1, 2014. They provide an example of how asteroids are typically discovered by detection of their motion relative to background stars.
More information about asteroids and near-Earth objects is at http://www.jpl.nasa.gov/asteroidwatch.









